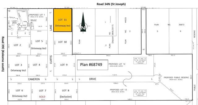
0 Curtis Lane

Offered at: $87,400

MLS®: 202603484

Get ready to build your dream home on this prime 2-acre lot in an exciting new development! This property is truly ready to go, with the driveway already installed, corner street lighting in place, and mailbox conveniently nearby. Enjoy peaceful surroundings with scenic walking paths and 6.61 acres of dedicated public reserve planned for a potential future park right in the community. With no time restrictions to build, you can design and create at your own pace. Minimal gravel roads make for easy access, and you’re just minutes from Steinbach for all your shopping, and amenities. An incredible opportunity to secure your spot in a growing community — start planning today! (GST applicable.)

Quick Stats

Key Home Data

0
BATH(S)
0
BED(S)
Contact for
SQFT
YES
SHOWING AVAILABLE
Property Type:
Residential
Home Ownership:
Freehold

Payment Calculator

Calculate your monthly mortgage payment.

Mortgage Amount
$
Amortization
years
Payment Freq.
Interest Rate
%
Calculating...

All About the Details

See specific details below.

Neighbourhood Statistics

Get to know your neighbourhood.

Similar Properties

Other properties you might like.

Search by Keyword:
« prev 1 2 3 4 5 14 15 16 17 18 next »

Request a Showing

Have questions about this property?

Chat Now

Contact Kevin Moist
About This Property.


Office: 204-792-7000

Please enter a valid first name and last name, e.g., John Smith.